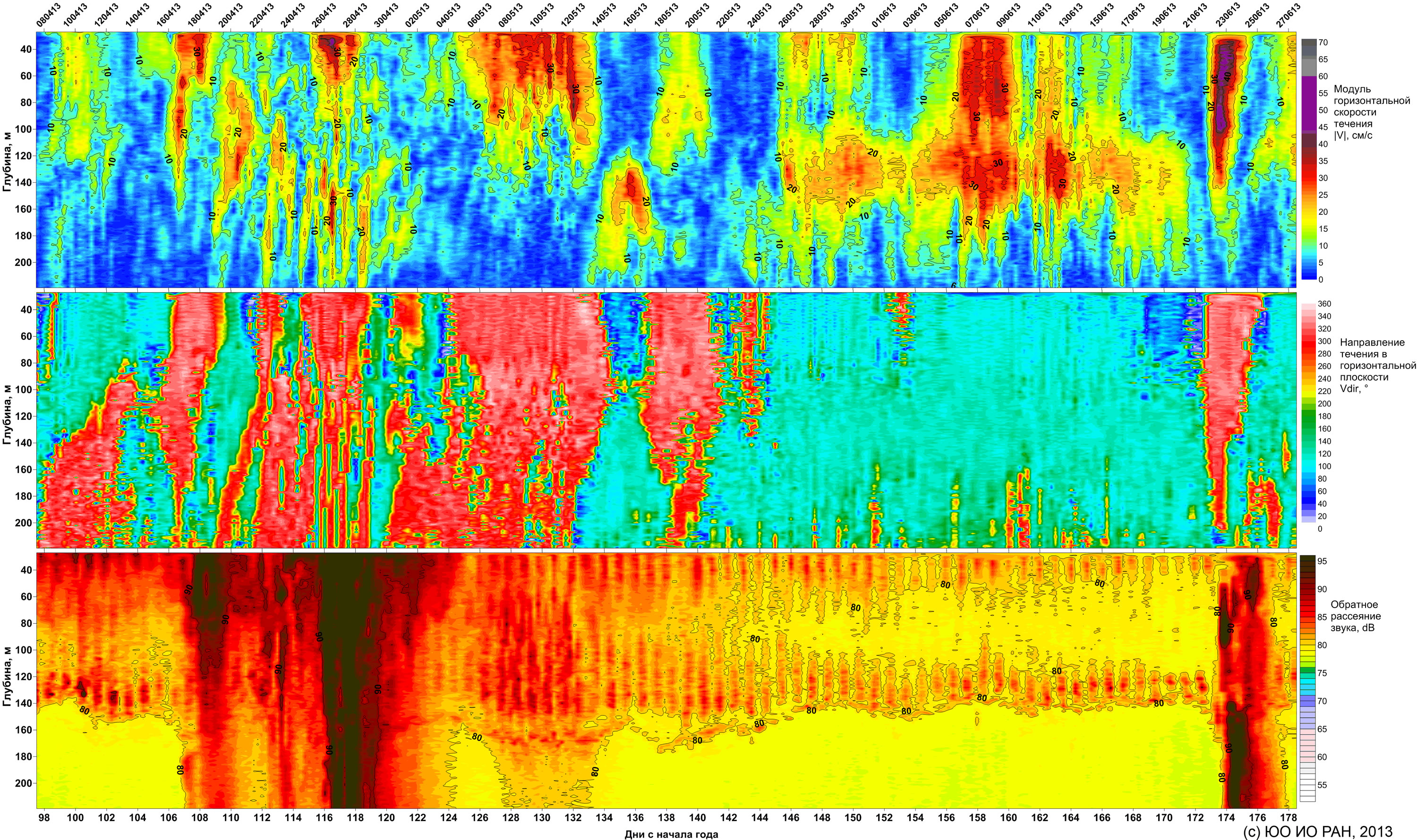
Вертикальные разрезы зондом "Аквалог" 04.07.2013 - 06.27.2013. Точка постановки траверс Толстого мыса Геленджикской бухты 44°29, 345’ с.ш., 37°58, 44’ в.д. Глубина места 270 м, глубина постановки 250 м. Периодичность измерений 6 часов. Измерительное оборудование: СТД-зонд Idronaut 316, акустический измеритель скорости течения Aquadopp 2 мГц
Измеряемые параметры:
- вертикальный профиль горизонтальных течений (см/с),
- вертикальный профиль обратного акустического рассеивания (db),
- вертикальный профиль CTD-данных: температуры (оС), солености (PSU), давления (dB).

Данные разреза в формате CSV и оригинал диаграммы в формате PNG приведены во вложениях (см.ниже)



